【症例紹介】レッグペルテス(大腿骨頭壊死症)
レッグペルテス病とは
レッグペルテス病は遺伝などが示唆されていて、小型犬に多いです。
最近では人気犬種のトイプードルに多く見受けられます。
今回の症例はみなトイプードルでした。
ここ数ヶ月で4症例ありました。
8-12ヶ月齢までに症状がみられる子が多いです。
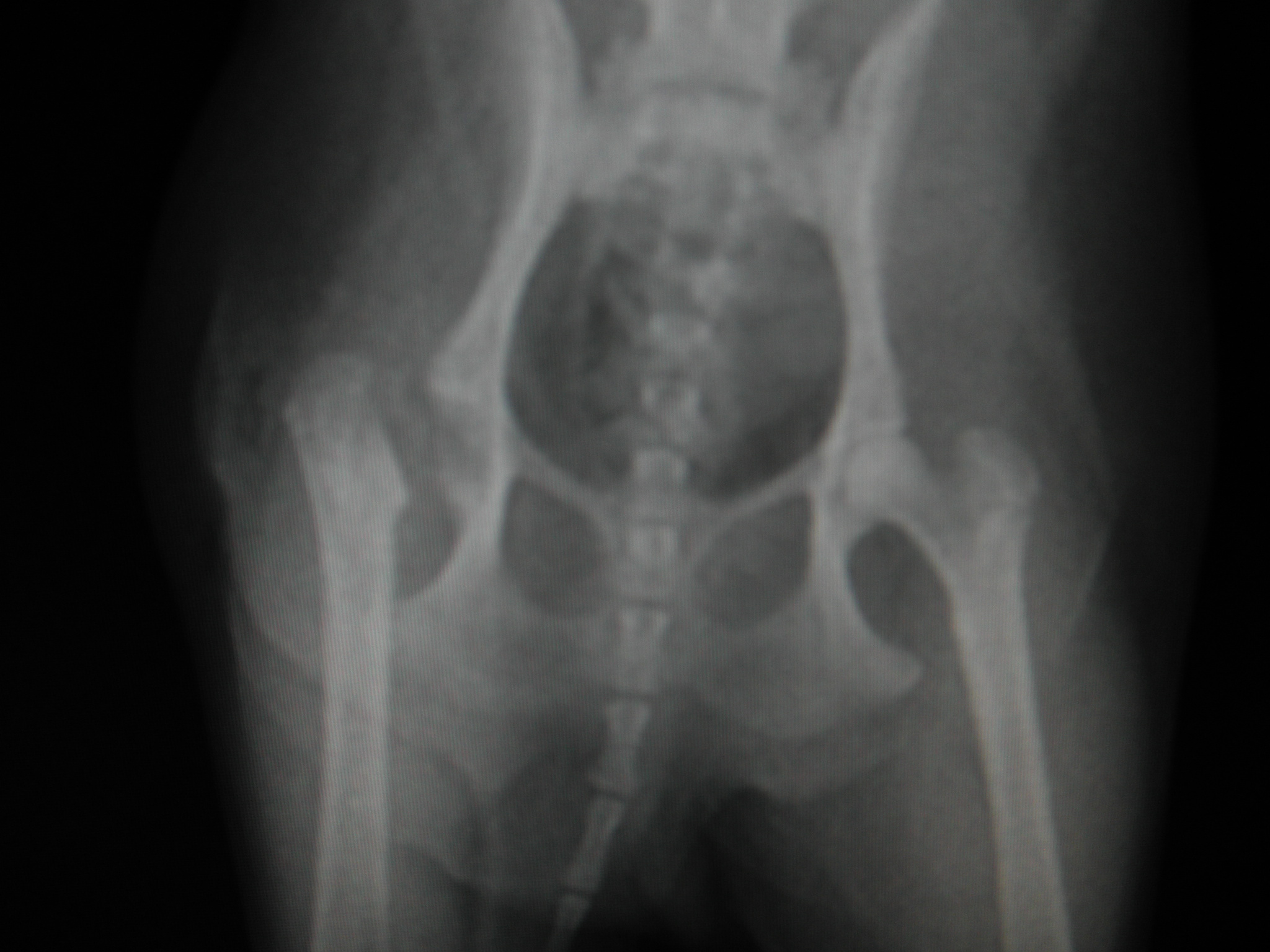
大腿骨(ふとももの骨)の骨頭(股関節に接する所)の骨に血流がいかずに、
骨の形がいびつになり、股関節を動かす度に痛みが出てしまう病気です。
症状として足をひきずったり、もちあげたりします。
そのため、筋肉量がかなり減ってきてしまいます。
処置について
手術は骨頭切除という手術を実施します。
物理的に骨頭と股関節がぶつからなくなるという手術です。
その後リハビリテーションをしっかり実施して4本足歩行にしていきます。
全ての症例の治療は順調にリハビリも終え終了できました。
1歳以下の小型犬が足をかばっているという際はこの病気の可能性があります。
触診、レントゲン、最近だとエコーにて判断できますので、
おかしいなと思った際はご相談ください。
チェルシーアニマルクリニック
院長 小池 博行
富山市のチェルシーアニマルクリニックでは、ワクチンなどの予防医療や一般医療はもちろん、無麻酔CT検査や整形外科治療の症例実績も豊富にあります。些細なことでもセカンドオピニオンでも構いません。まずはお気軽にご相談ください。
ご予約はこちらチェルシーアニマルクリニック
〒930-0827 富山県富山市上飯野25
予約優先制 (定休日:火曜)

